The Eligibility page shows actions that are coming up for appointees in your unit (both advancement and mandatory). To calculate this info, Opus looks at the date of an appointee’s last advancement action and their current status. Opus then projects what actions, based on university policy, the appointee will be eligible for in the next 5 years, and lists this information on the Eligibility page.
When something happens to change an appointee’s status (like an advancement or a review, for instance), their data on the Eligibility page automatically updates. Also, as time passes without actions taking place, the information on this page updates to keep eligibility info current.
!
The data on the Eligibility page does not account for years deferred or accelerated. So if you already know an action will be deferred, the Eligibility page still shows the appointee as being eligible for that action in the original year, without the deferral taken into account. When the year shown on the Eligibility page passes and no action takes place (because it's being deferred), the eligiblity information for this action will update to the next calendar year (because the appointee is still “eligible” for the action).
Incidentally, if an action does take place a year “late” or “early” (because of deferral or acceleration), the information regarding years deferred or accelerated does not automatically update in the case for that action. Currently, tracking deferral and acceleration info in Opus requires manual input, and does not interact with eligibility. For more info on this topic, see the How to Record Years Accelerated or Deferred, linked near the end of this page.
This article tells you how to view eligibility information in Opus, and assumes you’re already logged into Opus and your permissions allow you to access the relevant features. For info about interface elements or a particular Opus page, check out the other articles on this support site — some of these articles are linked near the bottom of this page.
1. Open the Eligibility Page
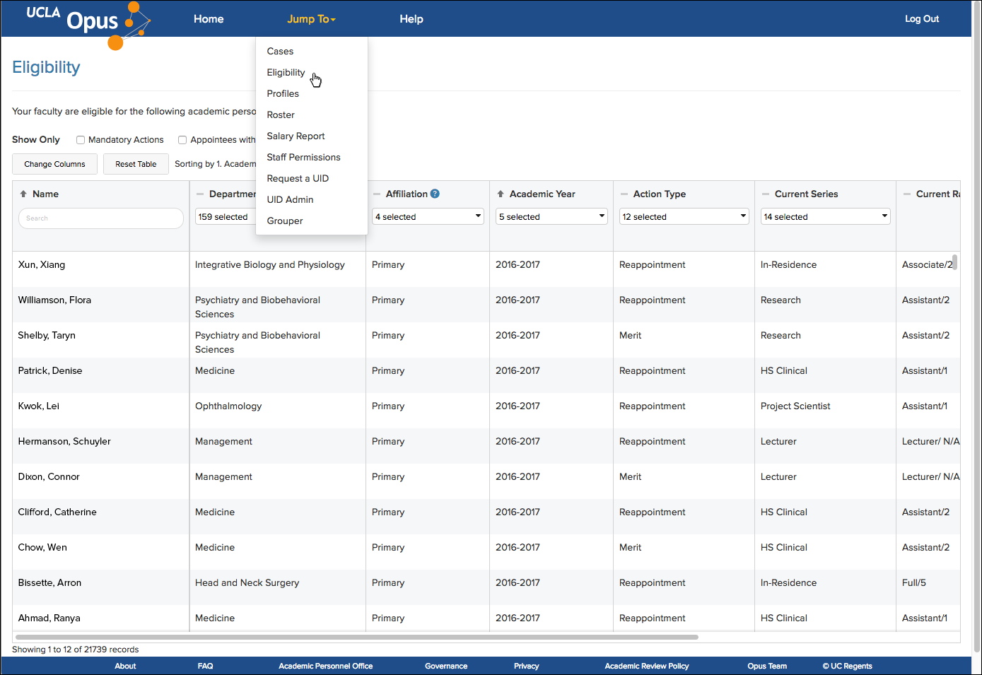
Navigate to the Eligibility page by clicking "Jump To" and then "Cases" in the blue bar near the top of any Opus page.

The Eligibility page with the Opus Top Menu and Jump To submenu. Click this image to view a larger version.
Most of what you’ll do with this page is related to working with the table, and making it display exactly the info you need. Checking on what’s coming up is simply a matter of filtering the table by year, then sorting the records in the order you want to handle them. Since everyone will likely use this page differently, this article just shows you two examples: first how to view eligible actions for all appointees in your unit for a particular year, and then how to view all of a particular appointee’s actions from the next five years.
2. Customize the Table Columns
If you only want to see records that match a particular datapoint — in this case, actions from a particular academic year — you just have to filter the data table on the Eligibility page. But first, let’s hide some columns so we can simplify our view. Click the Change Columns button to open this modal:

The Change Columns modal window on the Eligibility page. Click this image to view a larger version.
Click and unclick the checkboxes on your screen until they match the screenshot above. Or, if you want to show different columns, that’s fine — at least make sure Academic Year is checked, then click the Close button.
3. Filter the Data Table by Academic Year
Now go to the Academic Year column and click the menu in the column where it says how many are selected (this type of menu is called a dropdown menu column filter). Click the "Uncheck All" link in the dropdown, then click the earliest year in the menu — yours may differ, but since this article is being written during the 2016-2017 academic year, that’s the earliest year in the screenshot:

The Academic Year Dropdown Menu Column Filter on the Eligibility page. Click this image to view a larger version.
Now you’re viewing the actions that are coming up in the year you selected. Perhaps you see an appointee with an action coming up, and you get curious about what other actions they have in the future. The next section shows you how to look at that.
4. Refilter the Table
Now that we've seen all the eligibility for a particular year, we're going to switch and see all the years of eligibility for a particular person. Keeping in mind that the work on the Eligibility page is mainly about working with the table, all we’re going to need to do now is filter the table a different way to get the information for a particular person.
Filter the Data Table by Name
First make a note of the name of the person you want to search for, then clear the filters from the above steps by clicking the "Reset Table" button. This will revert the table back to how it looks in the first screenshot above.
Next, type the person’s name in the search box in the Name column (this box is called a text input column filter). We suggest using a last name<comma> first name format:

The Academic Year Dropdown Menu Column Filter on the Eligibility page. Click this image to view a larger version.
You’ll notice that the table updates as you type, showing only those names that match your input. Now you’re viewing upcoming actions for the person you entered.
5. Use the Eligibility Page in Different Ways
As you can see, the Eligibility page is flexible. By filtering and sorting, you can tailor the data table’s display to find whatever eligibility info you may require. You can look at actions for only a specific series, for instance, by filtering the Series column. Same with the Rank, Step and Affiliation columns, etc. You can also sort the columns if you want to see more than one type of data in a particular order (see the article about table sorting linked below).
See Also
How to Record Years Accelerated or Deferred
Data Tables: Sorting Data Within A Table
Data Tables: Filtering Data Within A Table